|
June 2008
Dr Gerhard Steenkamp
A 4 month-old Scottish terrier is presented with pain on mastication. The owner
reports that the dog is head shy, something that he never was before, and he is also more subdued
than usual. On palpation of the face the dog cries and is reluctant for you to do a thorough
clinical examination around the head area. After sedation, there is no visible pathology
intraoral, however you do feel a swollen areas of the left mandible, and decide to radiograph the
head.
a) What is your diagnosis?
b) What is the pathogenesis of these lesions?
c) What treatment options are available?
Memo
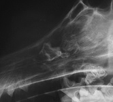
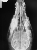
a) On the lateral radiograph a thick brush border perisoteal reaction is visible of the ventral
mandibular cortex. On the dorso-ventral view it appears as if the majority of the reaction is
situated just on one of the mandible and here a radiopaque mass is evident superimposed on the
mandibular 4th premolar and first molar teeth. The radiographic appearance, even being
unilateral, together with the signalment and history makes craniomandibular osteopathy the most
likely diagnosis. Unilateral disease should be differentiated from osteomyelitis, severe
localised periodontitis and neoplasia.
On the lateral radiograph it is also evident that the first maxillary molar has been displaced
dorsally. On the dorso-ventral view this tooth is displaced medio-rostrally. Intra-oral
radiographs (or computed tomography scan) at various angles are advocated to ascertain the 3
dimensional position of this tooth. Once this has been determined appropriate therapy
(surgical extraction?) can be planned.
 |
|
b) Craniomandibular osteopathy (CMO) is a proliferative orthopaedic condition of young immature
dogs, whereby the skull bones are affected exclusively. Terriers are over represented in the
breeds that have been documented with this disease. West Highland white- (WHWT) and Scottish
terriers are by far the most common dogs presenting with it. In WHWT the condition is thought
to be due to a recessive gene and this is also postulated for Scottish terriers. There are
reports of several other breeds affected sporadically and this begs the question if there are other
pathways to elicit the same disease. CMO is a self limiting disease found in skeletally
immature dogs of between 2 and 9 months-old. The disease usually subsides around 11 – 13
months of age and all the bony exostoses may disappear with time. The mandibles and temporal
bones are the 2 most commonly affected bones of the head and this may even lead to ankylosis of the
mandibles. This poses a life threatening situation for the dog.
c) Intermittent anti-inflammatory treatment is the only treatment recommended. Although
the literature supports the use of steroidal anti-inflammatory drugs, the author prefers the
management of these patients with non-steroidal anti-inflammatory drugs. Typically these
patients will require drugs only when painful, which will diminish once skeletal maturity is
reached. Surgical intervention may be required in severe cases where ankylosis is
present. The prognosis of these patients is usually poor.
|